32件
-
NEW
1,500万円
- / 338.00㎡ / -
- プロパンガス
- 公共下水
売地をお探しの方には、こちらの売地はいかがでしょうか。国頭郡金武町エリアの不動産のことなら、経験豊富な当社にお任せください。不動産購入に関するご質問や内見予約は、お気軽にEメールinfo-okinawa@aia-jyuhan.co.jpまでご連絡ください。
-
NEW
5,000万円
- / 403.40㎡ / -
- 公共下水
「【売地】うるま市石川山城-1区画」:うるま市エリアの新居にピッタリ。徒歩10分の場所にうるま市立伊波小学校があります。100坪以上の土地ですので、用途も様々なものが検討できます。土地面積は403.4㎡となっています。不動産探しにおいて、専門知識がないからと疑問や不安をそのままにしていませんか。当社スタッフは親切丁寧なご対応をモットーとし、お客様にご納得いただける住まい探しのお手伝いをしております。
-
NEW
5,000万円
- / 584.00㎡ / -
那覇市エリアでの住まいなら、住み心地も快適な「【売地】那覇市首里崎山町」はいかがでしょうか◎徒歩16分の距離に那覇市立松城中学校があるのも魅力◎土地面積は150坪以上です◎コチラは売地の情報となっています◎土地購入をお考えの方は是非◎お客様の希望条件に一致する住まいを、那覇市エリアで見つけませんか◎ぜひお気軽にEメールinfo-okinawa@aia-jyuhan.co.jpまでお問い合わせください◎ご連絡お待ちしております(*^^*)
-
NEW
1,498万円
- / 165.98㎡ / -
- プロパンガス
- 公共下水
新生活を失敗せず、スタートさせたいならこちらの「南城市佐敷新里-区画①(全2区画)」はいかがでしょうか。徒歩19分の場所に南城市立佐敷小学校があります。土地面積は165.98㎡(公簿)となっています。新たな住居を構えるのに、土地50坪以上の広さは丁度です。当社は地域の顧客満足度ナンバーワンを目指し、親切丁寧な対応を心がけております。不動産探しにおいて不明な点があれば、どのような些細なことでもぜひお気軽にお問い合わせください。
-
NEW
1,398万円
- / 165.48㎡ / -
徒歩27分の場所に糸満市立兼城小学校があります。土地と接している接道幅が15m以上あるので建物が建てられます。高台に立地しているので洪水などの被害のリスクを抑えやすいですよ。こちらは三方道路なので、建物の間取りにこだわりたい方におすすめ。糸満市で納得のいく土地探しをするなら、エリアに強いアイエー不動産販売 那覇支店にお任せください。当社へのお問い合わせは、info-okinawa@aia-jyuhan.co.jpにて承っております。
-
NEW
2,500万円
- / 439.00㎡ / -
- プロパンガス
- 電気有
- 公共下水
「【売地】南城市大里稲嶺(132.8坪)」のここがイチオシ!家から328mのところに、薬や日用品を買うのに便利なドラッグイレブン大里があります!売地をお探しの方には、こちらの売地はいかがでしょうか!日当たりを重視している方に適した南側道路になります!快適な住環境の地区が多く、ニーズの高い南城市エリアの不動産探しなら当社にお任せください!地元のことを知り尽くしているので、お客様まで適切にアドバイスいたします(^_^)
-
NEW
263万円
- / 153.06㎡ / -
土地面積は153.06㎡となっています。周辺環境も良好なエリアにある売地です。不動産のプロフェッショナルの揃う当社に、不動産探しはお任せください。お客様の暮らしを守り、快適なものにするために住まい探しの不安や問題を解消いたします。
-
NEW
2,890万円
- / 135.01㎡ / -
- 公共下水
こだわりで選びたい方におすすめ。豊見城市エリアで住まいをお探しなら「◆◆【売地】豊見城市渡橋名浜原-7号地(全39区画)」。徒歩34分の場所に豊見城市立座安小学校があります。土地購入を考えている方、一度チェックして頂きたいのがこちらの売地です。傾斜地より建築が楽な平坦地です。アイエー不動産販売 那覇支店は豊見城市エリアの土地情報を数多く取り扱っております。info-okinawa@aia-jyuhan.co.jpまで土地に関するお問い合わせを承っております。
-
NEW
2,190万円
- / 143.00㎡ / -
- プロパンガス
- 浄化槽排水
新生活を失敗せず、スタートさせたいならこちらの「◆◆糸満市阿波根-区画④(全4区画)」はいかがでしょうか。徒歩17分の場所に糸満市立兼城小学校があります。広さの心配がいらない土地面積143㎡。環境の良いエリアにある売地です。土地を糸満市で探しませんか。098-882-1650、またはinfo-okinawa@aia-jyuhan.co.jpまでご連絡下さいませ。お待ちしております。
-
NEW
2,490万円
- / 118.00㎡ / -
- 公共下水
こだわりポイント満載の◆◆【売地】那覇市山下町。徒歩7分の場所に那覇市立垣花小学校があります。立地している第一種中高層住居専用地域とは、中高層住宅の良好な住環境を守るための地域です。土地購入をお考えの方、コチラの売地は環境も良くておすすめです。お客様を当社アイエー不動産販売 那覇支店の経験と知識が豊富なスタッフがお待ちしております。お気軽に098-882-1650またはinfo-okinawa@aia-jyuhan.co.jpまでご連絡ください。
-
NEW
2,690万円
- / 100.39㎡ / -
- 公共下水
周辺環境が充実している売地はこちらです。高層ビルなどの大規模な建物が立ちにくい第一種低層住居専用地域なので、将来も静かに生活することができますよ。前面道路6m以上は確保しているので車の出し入れもラクラクです。土地面積は100.39㎡(公簿)でイチオシ。土地をお探しなら、お勧めは那覇市でございます。info-okinawa@aia-jyuhan.co.jp、または098-882-1650まで土地見学のご予約ができますので、ぜひご利用ください。
-
NEW
5,385万円
- / 1187.00㎡ / -
- プロパンガス
- 浄化槽排水
「●糸満市大渡1区画」:糸満市エリアの新居にピッタリ。徒歩15分の場所に糸満市立米須小学校があります。こちらの売地は、土地の購入を検討されている方にイチオシとなっております。土地面積は1187㎡でイチオシ。糸満市エリアの不動産情報をご案内しております。Eメールinfo-okinawa@aia-jyuhan.co.jpまでぜひお気軽にお問い合わせください。ご連絡をお待ちしております。
-
NEW
520万円
- / 267.10㎡ / -
- 公共下水
こちらの土地面積は267.1㎡でございます。土地の購入をご検討の方にお勧めの売地となっています。土地80坪以上の広さで、日々の生活にゆとりを与えます。アイエー不動産販売 那覇支店が、国頭郡金武町エリアの土地情報を紹介いたします。info-okinawa@aia-jyuhan.co.jpまでお気軽にご連絡くださいませ。
-
NEW
2,790万円
- / 135.80㎡ / -
- 公共下水
徒歩34分の場所に豊見城市立座安小学校があります。安心の前面道路6m以上の条件を備えております。売地をお探しの方に、こちらの土地はイチオシです。土地面積は135.8㎡(公簿)でイチオシ。豊見城市で土地を探すなら、アイエー不動産販売 那覇支店がオススメする土地をご覧になりませんか。098-882-1650では土地見学のご予約を承っております。
-
NEW
950万円
- / 147.43㎡ / -
- 浄化槽排水
ぜひ一度見ていただきたい、「【土地】八重瀬町安里(全3区画)」です。土地面積は132.3㎡(公簿)となっております。
-
NEW
800万円
- / 237.92㎡ / -
- 個別浄化槽
お気軽にお問合せください。
-
NEW
2,500万円
- / 617.85㎡ / -
「【売地】南城市佐敷仲伊保-1区画」のここがイチオシ!徒歩24分の場所に南城市立佐敷小学校があります!住みやすい空間の条件の1つに前面道路が6m以上あるところを入れてみては!土地購入を考えている方、一度チェックして頂きたいのがこちらの売地です!不動産のことならアイエー不動産販売 那覇支店にお任せください!お問い合わせは、お電話098-882-1650、Eメールinfo-okinawa@aia-jyuhan.co.jpまでよろしくお願いします(*´ω`*)
-
NEW
1,800万円
- / 162.69㎡ / -
- プロパンガス
- 公共下水
うるま市エリアでの住まいなら、住み心地も快適な「☆【売地】うるま市高江洲-5号地」はいかがでしょうか。徒歩1分の場所にうるま市立高江洲小学校があります。土地購入をお考えの方、コチラの売地は環境も良くておすすめです。広さの心配がいらない土地面積162.69㎡。地域に詳しい当社スタッフが、生活情報を踏まえて不動産探しを徹底サポートいたします。ぜひ不動産探しは当社にお任せください。
-
NEW
4,000万円
- / 1074.14㎡ / -
- 電気有
- 浄化槽排水
「●八重瀬町新城【土地】」:島尻郡八重瀬町エリアの新居にピッタリ☆傾斜地より建築が楽な平坦地です☆周辺環境が充実している売地はこちらです☆資材置き場を建設するのに適した立地です☆島尻郡八重瀬町エリアで土地を探すなら、アイエー住宅販売 那覇支店で探しませんか☆098-882-1650、またはinfo-okinawa@aia-jyuhan.co.jpまでお気軽にお問い合わせください(*^^*)
-
NEW
1,600万円
- / 162.69㎡ / -
- プロパンガス
- 公共下水
うるま市エリアでの住まいなら、住み心地も快適な「☆【売地】うるま市高江洲-5号地」はいかがでしょうか。徒歩1分の場所にうるま市立高江洲小学校があります。土地購入をお考えの方、コチラの売地は環境も良くておすすめです。広さの心配がいらない土地面積162.69㎡。地域に詳しい当社スタッフが、生活情報を踏まえて不動産探しを徹底サポートいたします。ぜひ不動産探しは当社にお任せください。
-
NEW
700万円
- / 237.93㎡ / -
- 個別浄化槽
お気軽にお問合せください。
-
NEW
4,990万円
- / 135.01㎡ / -
- 公共下水
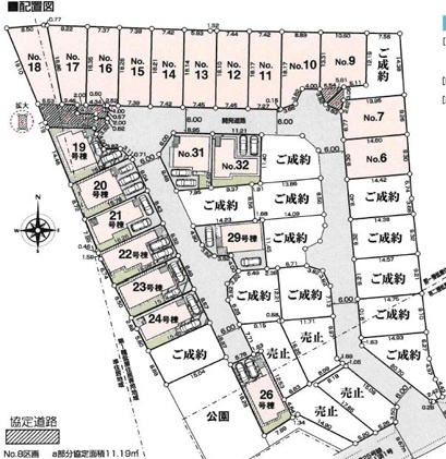
新生活を失敗せず、スタートさせたいならこちらの「◆◆【売地】豊見城市渡橋名浜原-14号地(全39区画)」はいかがでしょうか。安心の前面道路6m以上の条件を備えております。土地面積は135.01㎡(公簿)で一押しです。誰もがあこがれる日の当たりが良くて静かな場所、それが第一種低層住居専用地域です。当社の不動産情報をぜひご覧ください。お薦めの不動産情報が満載です。そのほか、住まい探しに関することならどのようなことでもお気軽にお問い合わせください。
-
NEW
3,990万円
- / 135.01㎡ / -
- 公共下水
「◆◆【売地】豊見城市渡橋名浜原-10号地(全39区画)」:豊見城市エリアの新居にピッタリ。徒歩34分の場所に豊見城市立座安小学校があります。土地面積は135.01㎡(公簿)でイチオシ。建物がごちゃごちゃすることがない第一種低層住居専用地域なので、静かに快適に過ごすことができます。豊見城市で土地を買うなら、土地情報が満載のアイエー不動産販売 那覇支店にお任せ下さい。098-882-1650、またはinfo-okinawa@aia-jyuhan.co.jpまでお問い合わせをお待ちしております。
-
NEW
5,040万円
- / 135.01㎡ / -
- 公共下水
こだわりポイント満載の◆◆【売地】豊見城市渡橋名浜原-17号地(全39区画)。徒歩22分の距離に伊良波中学校があるのも魅力。第一種低層住居専用地域は、将来的にも工場や大規模な商業施設が建つことがなく、住環境の変化も心配ありません。こちらの土地は前面道路6m以上です。豊見城市エリアでの不動産探しは、地元密着の当社にぜひお任せください。不動産情報だけではなく、お薦めスポットなど生活する上で必要な情報も多数ご案内しております。
-
NEW
5,040万円
- / 135.01㎡ / -
- 公共下水
豊見城市エリアでの住まいなら、住み心地も快適な「◆◆【売地】豊見城市渡橋名浜原-16号地(全39区画)」はいかがでしょうか。徒歩34分の場所に豊見城市立座安小学校があります。土地購入をお考えの方にイチオシの売地がこちらです。土地面積は135.01㎡(公簿)となっております。豊見城市の土地で求めていた暮らしを手に入れましょう。土地の購入なら098-882-1650、またはinfo-okinawa@aia-jyuhan.co.jpにてアイエー不動産販売 那覇支店までお問い合わせください。
-
NEW
5,040万円
- / 135.01㎡ / -
- 公共下水
徒歩34分の場所に豊見城市立座安小学校があります。前面道路6m以上は確保しているので車の出し入れもラクラクです。土地の購入をお考えの方、コチラの売地をご覧ください。仮に将来その土地を売ることになった時に、大きな価格の変動が起こりにくいのも第一種低層住居専用地域のメリットです。住まい探しのノウハウは当社にお任せください。知識と経験豊富な当社スタッフが、親切丁寧にお客様の不安や疑問を解消いたします。
-
NEW
4,990万円
- / 135.01㎡ / -
- 公共下水
ぜひ一度見ていただきたい、「◆◆【売地】豊見城市渡橋名浜原-13号地(全39区画)」です。徒歩34分の場所に豊見城市立座安小学校があります。安心の前面道路6m以上の条件を備えております。第一種低層住居専用地域は、将来的にも工場や大規模な商業施設が建つことがなく、住環境の変化も心配ありません。当社は知識豊富なスタッフの対応力が自慢です。ぜひお客様の不動産探しに対するご希望やこだわりをお聞かせください。プロの知識でもって全力でサポートいたします。
-
NEW
4,990万円
- / 135.01㎡ / -
- 公共下水
徒歩22分の距離に伊良波中学校があるのも魅力。第一種低層住居専用地域のメリットはなんといってもその開放的な住環境。周辺環境の良い売地ですので、土地購入をご検討の方におすすめです。前面道路6m以上は確保しているので車の出し入れもラクラクです。豊見城市の土地を探すなら、アイエー不動産販売 那覇支店にお任せください。098-882-1650、またはinfo-okinawa@aia-jyuhan.co.jpまで連絡お待ちしております。
-
NEW
4,990万円
- / 135.01㎡ / -
- 公共下水
「◆◆【売地】豊見城市渡橋名浜原-11号地(全39区画)」のここがイチオシ。徒歩22分の距離に伊良波中学校があるのも魅力。住みやすい空間の条件の1つに前面道路が6m以上あるところを入れてみては。土地面積は135.01㎡(公簿)となっています。豊見城市で土地を買うなら、土地情報が満載のアイエー不動産販売 那覇支店にお任せ下さい。098-882-1650、またはinfo-okinawa@aia-jyuhan.co.jpまでお問い合わせをお待ちしております。
ぜひ一度見ていただきたい、「【売地】うるま市川崎-1区画」です。徒歩7分の場所にうるま市立川崎小学校があります。売地をお探しの方に、こちらの土地はイチオシです。土地面積は139.44㎡(公簿)となっています。アイエー不動産販売 那覇支店で、うるま市の安心して住める土地の情報を探しましょう。お問い合わせは098-882-1650、またはinfo-okinawa@aia-jyuhan.co.jpまでお待ちしております。