11件
-
NEW
3,090万円
- / 135.01㎡ / -
- 公共下水
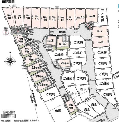
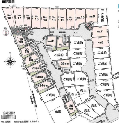
「◆◆【売地】豊見城市渡橋名浜原-10号地(全39区画)」:豊見城市エリアの新居にピッタリ。徒歩34分の場所に豊見城市立座安小学校があります。土地面積は135.01㎡(公簿)でイチオシ。建物がごちゃごちゃすることがない第一種低層住居専用地域なので、静かに快適に過ごすことができます。豊見城市で土地を買うなら、土地情報が満載のアイエー不動産販売 那覇支店にお任せ下さい。098-882-1650、またはinfo-okinawa@aia-jyuhan.co.jpまでお問い合わせをお待ちしております。
-
NEW
2,890万円
- / 135.01㎡ / -
- 公共下水
こだわりで選びたい方におすすめ。豊見城市エリアで住まいをお探しなら「◆◆【売地】豊見城市渡橋名浜原-7号地(全39区画)」。徒歩34分の場所に豊見城市立座安小学校があります。土地購入を考えている方、一度チェックして頂きたいのがこちらの売地です。傾斜地より建築が楽な平坦地です。アイエー不動産販売 那覇支店は豊見城市エリアの土地情報を数多く取り扱っております。info-okinawa@aia-jyuhan.co.jpまで土地に関するお問い合わせを承っております。
-
NEW
3,090万円
- / 135.01㎡ / -
- 公共下水
徒歩34分の場所に豊見城市立座安小学校があります。前面道路6m以上は確保しているので車の出し入れもラクラクです。土地の購入をお考えの方、コチラの売地をご覧ください。仮に将来その土地を売ることになった時に、大きな価格の変動が起こりにくいのも第一種低層住居専用地域のメリットです。住まい探しのノウハウは当社にお任せください。知識と経験豊富な当社スタッフが、親切丁寧にお客様の不安や疑問を解消いたします。
-
NEW
2,790万円
- / 135.80㎡ / -
- 公共下水
徒歩34分の場所に豊見城市立座安小学校があります。安心の前面道路6m以上の条件を備えております。売地をお探しの方に、こちらの土地はイチオシです。土地面積は135.8㎡(公簿)でイチオシ。豊見城市で土地を探すなら、アイエー不動産販売 那覇支店がオススメする土地をご覧になりませんか。098-882-1650では土地見学のご予約を承っております。
-
NEW
3,090万円
- / 135.01㎡ / -
- 公共下水
新生活を失敗せず、スタートさせたいならこちらの「◆◆【売地】豊見城市渡橋名浜原-14号地(全39区画)」はいかがでしょうか。安心の前面道路6m以上の条件を備えております。土地面積は135.01㎡(公簿)で一押しです。誰もがあこがれる日の当たりが良くて静かな場所、それが第一種低層住居専用地域です。当社の不動産情報をぜひご覧ください。お薦めの不動産情報が満載です。そのほか、住まい探しに関することならどのようなことでもお気軽にお問い合わせください。
-
NEW
3,090万円
- / 135.01㎡ / -
- 公共下水
ぜひ一度見ていただきたい、「◆◆【売地】豊見城市渡橋名浜原-13号地(全39区画)」です。徒歩34分の場所に豊見城市立座安小学校があります。安心の前面道路6m以上の条件を備えております。第一種低層住居専用地域は、将来的にも工場や大規模な商業施設が建つことがなく、住環境の変化も心配ありません。当社は知識豊富なスタッフの対応力が自慢です。ぜひお客様の不動産探しに対するご希望やこだわりをお聞かせください。プロの知識でもって全力でサポートいたします。
-
NEW
3,090万円
- / 135.01㎡ / -
- 公共下水
徒歩22分の距離に伊良波中学校があるのも魅力。第一種低層住居専用地域のメリットはなんといってもその開放的な住環境。周辺環境の良い売地ですので、土地購入をご検討の方におすすめです。前面道路6m以上は確保しているので車の出し入れもラクラクです。豊見城市の土地を探すなら、アイエー不動産販売 那覇支店にお任せください。098-882-1650、またはinfo-okinawa@aia-jyuhan.co.jpまで連絡お待ちしております。
-
NEW
2,890万円
- / 135.01㎡ / -
- 公共下水
こだわりポイント満載の◆◆【売地】豊見城市渡橋名浜原-17号地(全39区画)。徒歩22分の距離に伊良波中学校があるのも魅力。第一種低層住居専用地域は、将来的にも工場や大規模な商業施設が建つことがなく、住環境の変化も心配ありません。こちらの土地は前面道路6m以上です。豊見城市エリアでの不動産探しは、地元密着の当社にぜひお任せください。不動産情報だけではなく、お薦めスポットなど生活する上で必要な情報も多数ご案内しております。
-
NEW
3,090万円
- / 135.01㎡ / -
- 公共下水
豊見城市エリアでの住まいなら、住み心地も快適な「◆◆【売地】豊見城市渡橋名浜原-16号地(全39区画)」はいかがでしょうか。徒歩34分の場所に豊見城市立座安小学校があります。土地購入をお考えの方にイチオシの売地がこちらです。土地面積は135.01㎡(公簿)となっております。豊見城市の土地で求めていた暮らしを手に入れましょう。土地の購入なら098-882-1650、またはinfo-okinawa@aia-jyuhan.co.jpにてアイエー不動産販売 那覇支店までお問い合わせください。
-
NEW
3,090万円
- / 135.01㎡ / -
- 公共下水
「◆◆【売地】豊見城市渡橋名浜原-11号地(全39区画)」のここがイチオシ。徒歩22分の距離に伊良波中学校があるのも魅力。住みやすい空間の条件の1つに前面道路が6m以上あるところを入れてみては。土地面積は135.01㎡(公簿)となっています。豊見城市で土地を買うなら、土地情報が満載のアイエー不動産販売 那覇支店にお任せ下さい。098-882-1650、またはinfo-okinawa@aia-jyuhan.co.jpまでお問い合わせをお待ちしております。
徒歩34分の場所に豊見城市立座安小学校があります。第一種低層住居専用地域は、将来的にも工場や大規模な商業施設が建つことがなく、住環境の変化も心配ありません。安心の前面道路6m以上の条件を備えております。土地面積は135.14㎡(公簿)でイチオシ。豊見城市で土地を探すなら、098-882-1650、info-okinawa@aia-jyuhan.co.jpにお問い合わせください。アイエー不動産販売 那覇支店では豊見城市の土地を数多く取り扱っております。