◆◆【売地】豊見城市渡橋名浜原-9号地(全39区画)

3,090万円

沖縄県豊見城市字豊見城270

バス「琉球バス」バス停

価格
3,090万円
土地面積(坪数)
135.14㎡(40.87坪)
所在地
沖縄県豊見城市字豊見城270
築年
-(-)
駐車
-
交通

バス「琉球バス」バス停下車 徒歩5分

◆◆【売地】豊見城市渡橋名浜原-9号地(全39区画)の基本情報

物件名
◆◆【売地】豊見城市渡橋名浜原-9号地(全39区画)
価格
3,090万円
土地面積
135.14㎡
築年月
-(-)
総区画数
-
所在地
沖縄県豊見城市字豊見城270
交通

バス「琉球バス」バス停下車 徒歩5分

◆◆【売地】豊見城市渡橋名浜原-9号地(全39区画)の詳細情報

設備条件
設備(その他)
    -
駐車場/月額
-/-
土地権利
所有権
国土法届出
不要
用途地域
第一種低層住居専用/第二種低層住居専用
区画数
- / -
管理形態
-
管理員の勤務形態
-
管理会社
-
取引態様
仲介
引渡し
相談
開発許可番号
-
備考
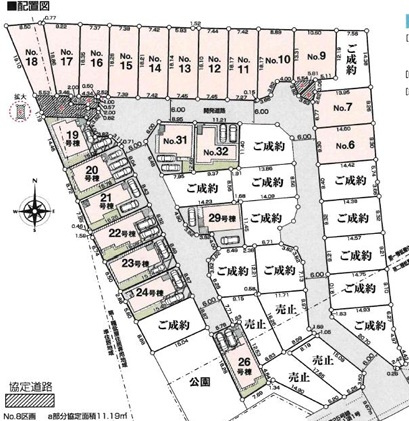
徒歩34分の場所に豊見城市立座安小学校があります。土地面積は135.14㎡(公簿)で一押しです。平坦地なので周辺に坂道がなく買いものや通勤での負担が少ない立地です。売地をお探しの方におすすめの土地です。不動産探しのことなら、どのようなことでもアイエー不動産販売 那覇支店へお気軽にお問い合わせください。知識豊富なスタッフがご対応いたします。お電話098-882-1650にてお待ちしております。

◆◆【売地】豊見城市渡橋名浜原-9号地(全39区画)のコメント(おすすめポイント)

こだわりポイント満載の◆◆【売地】豊見城市渡橋名浜原-9号地(全39区画)。徒歩22分の距離に伊良波中学校があるのも魅力。坂道がなく普段の移動も負担がかかりにくい平坦地です。こちらの土地は前面道路6m以上です。アイエー不動産販売 那覇支店がお薦めする豊見城市エリアの土地に関するお問い合わせは098-882-1650、またはinfo-okinawa@aia-jyuhan.co.jpまで受け付けております。

◆◆【売地】豊見城市渡橋名浜原-9号地(全39区画)で募集中の物件

  1. 40.87坪 (135.14㎡)

    3,090万円(75.61万円/坪)

周辺施設

  • サンエー V21ぎぼ食品館の画像

    スーパー

    サンエー V21ぎぼ食品館

    891m(12分)

  • 伊良波中学校の画像

    中学校

    伊良波中学校

    1695m(22分)

  • マックスバリュ とよみ店の画像

    スーパー

    マックスバリュ とよみ店

    2023m(26分)

  • 豊見城市立座安小学校の画像

    小学校

    豊見城市立座安小学校

    2694m(34分)

近隣の物件

  1. 豊見城市字豊見城

    - (135.01㎡)

    3,090万円

  2. 豊見城市字豊見城

    - (135.01㎡)

    3,090万円

  3. 豊見城市字豊見城

    - (135.01㎡)

    3,090万円

  4. 豊見城市字豊見城

    - (135.01㎡)

    3,090万円

◆◆【売地】豊見城市渡橋名浜原-9号地(全39区画)

お気軽にお問い合わせください

無料お問い合わせ

株式会社アイエー不動産販売 那覇支店

098-882-1650

9:00~18:00

(休:水曜日)