NEW

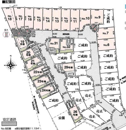
◆◆【売地】豊見城市渡橋名浜原-7号地(全39区画)

2,890万円

沖縄県豊見城市字豊見城270

バス「琉球バス」バス停

価格
2,890万円
坪単価
70.76万円(40.84坪)
所在地
沖縄県豊見城市字豊見城270
交通

バス「琉球バス」バス停下車 徒歩5分

土地面積(坪数)
135.01㎡(40.84坪)
建ぺい率 / 容積率
50% / 100%

セールスポイント

徒歩34分の場所に豊見城市立座安小学校があります。安心の前面道路6m以上の条件を備えております。土地購入の際、売地のことなら当社にご相談ください。アイエー不動産販売 那覇支店が、あなたのマイホームの夢を叶えるお手伝いをいたします。お問い合わせは098-882-1650、info-okinawa@aia-jyuhan.co.jpまでお気軽にご連絡ください。

ポイント

平坦地 前道6m以上

担当者のコメント

株式会社アイエー不動産販売 那覇支店

こだわりで選びたい方におすすめ。豊見城市エリアで住まいをお探しなら「◆◆【売地】豊見城市渡橋名浜原-7号地(全39区画)」。徒歩34分の場所に豊見城市立座安小学校があります。土地購入を考えている方、一度チェックして頂きたいのがこちらの売地です。傾斜地より建築が楽な平坦地です。アイエー不動産販売 那覇支店は豊見城市エリアの土地情報を数多く取り扱っております。info-okinawa@aia-jyuhan.co.jpまで土地に関するお問い合わせを承っております。

基本情報

販売区画数
-
総区画数
-
土地面積(坪数)
135.01㎡(40.84坪)
坪単価
70.76万円
私道負担面積
割合
-
セットバック
建ぺい率 /
容積率
50% / 100%
高圧線下面積
-
傾斜地部分面積
-
路地状敷地
-
地目
雑種地
地勢
平坦
造成工事
完了予定
-
土地権利
所有権
建築条件
-
都市計画
市街化区域
用途地域
第一種低層住居専用/第二種低層住居専用
接道状況
一方
国土法届出要否
不要
最適用途
-
その他
法令上の制限
-
取引態様
仲介
現況
更地
引渡条件
-
引渡時期
相談
開発許可番号
-
取引条件の
有効期限
2026年02月23日

設備条件

設備条件
  • 公営水道 / 公共下水
設備(その他)
    -

その他

物件番号
100908768
管理コード
-
情報更新日
2026年02月09日
次回更新予定日
2026年02月23日
取扱会社
  • 株式会社アイエー不動産販売 那覇支店
  • 沖縄県那覇市古島1丁目23-3 アジアビルディング 3F
  • TEL:098-882-1650
  • 国土交通大臣 (3) 第8590号
備考
徒歩34分の場所に豊見城市立座安小学校があります。イチオシの土地面積135.01㎡(公簿)の土地です。コチラは売地の情報となっています。土地購入をお考えの方は是非。豊見城市の土地のことなら、098-882-1650やinfo-okinawa@aia-jyuhan.co.jpまで、アイエー不動産販売 那覇支店にお問い合わせくださいませ。

周辺施設

  • サンエー V21ぎぼ食品館の画像

    スーパー

    サンエー V21ぎぼ食品館

    891m(12分)

  • 伊良波中学校の画像

    中学校

    伊良波中学校

    1695m(22分)

  • マックスバリュ とよみ店の画像

    スーパー

    マックスバリュ とよみ店

    2023m(26分)

  • 豊見城市立座安小学校の画像

    小学校

    豊見城市立座安小学校

    2694m(34分)

近隣の物件

  1. ◆◆【売地】豊見城市渡橋名浜原-10号地(全39区画)

    豊見城市字豊見城

    - (135.01㎡)

    3,090万円

  2. ◆◆【売地】豊見城市渡橋名浜原-12号地(全39区画)

    豊見城市字豊見城

    - (135.01㎡)

    3,090万円

  3. ◆◆【売地】豊見城市渡橋名浜原-11号地(全39区画)

    豊見城市字豊見城

    - (135.01㎡)

    3,090万円

  4. ◆◆【売地】豊見城市渡橋名浜原-13号地(全39区画)

    豊見城市字豊見城

    - (135.01㎡)

    3,090万円

◆◆【売地】豊見城市渡橋名浜原-7号地(全39区画)

◆◆【売地】豊見城市渡橋名浜原-7号地(全39区画)

2,890万円

-(135.01㎡)

お気軽にお問い合わせください

無料お問い合わせ

株式会社アイエー不動産販売 那覇支店

098-882-1650

9:00~18:00

(休:水曜日)