◆◆【売地】豊見城市渡橋名浜原-14号地(全39区画)

3,090万円

沖縄県豊見城市字豊見城270

バス「琉球バス」バス停

価格
3,090万円
土地面積(坪数)
135.01㎡(40.84坪)
所在地
沖縄県豊見城市字豊見城270
築年
-(-)
駐車
-
交通

バス「琉球バス」バス停下車 徒歩5分

◆◆【売地】豊見城市渡橋名浜原-14号地(全39区画)の基本情報

物件名
◆◆【売地】豊見城市渡橋名浜原-14号地(全39区画)
価格
3,090万円
土地面積
135.01㎡
築年月
-(-)
総区画数
-
所在地
沖縄県豊見城市字豊見城270
交通

バス「琉球バス」バス停下車 徒歩5分

◆◆【売地】豊見城市渡橋名浜原-14号地(全39区画)の詳細情報

設備条件
設備(その他)
    -
駐車場/月額
-/-
土地権利
所有権
国土法届出
不要
用途地域
第一種低層住居専用/第二種低層住居専用
区画数
- / -
管理形態
-
管理員の勤務形態
-
管理会社
-
取引態様
仲介
引渡し
相談
開発許可番号
-
備考
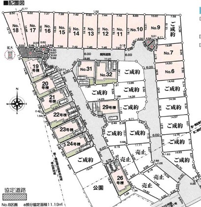
傾斜地より建築が楽な平坦地です。土地面積は135.01㎡(公簿)で一押しです。安心の前面道路6m以上の条件を備えております。土地の購入をご検討されているなら、ニーズも高いこちらの売地はいかがでしょうか。アイエー不動産販売 那覇支店は地域の顧客満足度ナンバーワンを目指しております。不動産のご紹介から購入サポート、アフターフォローまでいたします。ぜひお気軽にお問い合わせください。

◆◆【売地】豊見城市渡橋名浜原-14号地(全39区画)のコメント(おすすめポイント)

徒歩34分の場所に豊見城市立座安小学校があります。こちらの土地は前面道路6m以上です。土地面積は135.01㎡(公簿)でイチオシ。平坦な土地なので、擁壁・造成費用を抑えられます。こだわるお客様のご要望にアイエー不動産販売 那覇支店がお応えします。ぜひお気軽に098-882-1650までお問い合わせください。

◆◆【売地】豊見城市渡橋名浜原-14号地(全39区画)で募集中の物件

  1. 40.84坪 (135.01㎡)

    3,090万円(75.66万円/坪)

周辺施設

  • サンエー V21ぎぼ食品館の画像

    スーパー

    サンエー V21ぎぼ食品館

    891m(12分)

  • 伊良波中学校の画像

    中学校

    伊良波中学校

    1695m(22分)

  • マックスバリュ とよみ店の画像

    スーパー

    マックスバリュ とよみ店

    2023m(26分)

  • 豊見城市立座安小学校の画像

    小学校

    豊見城市立座安小学校

    2694m(34分)

近隣の物件

  1. 豊見城市字豊見城

    - (135.14㎡)

    3,090万円

  2. 豊見城市字豊見城

    - (135.01㎡)

    3,090万円

  3. 豊見城市字豊見城

    - (135.01㎡)

    3,090万円

  4. 豊見城市字豊見城

    - (135.01㎡)

    3,090万円

◆◆【売地】豊見城市渡橋名浜原-14号地(全39区画)

お気軽にお問い合わせください

無料お問い合わせ

株式会社アイエー不動産販売 那覇支店

098-882-1650

9:00~18:00

(休:水曜日)