NEW

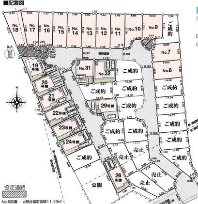
◆◆【売地】豊見城市渡橋名浜原-12号地(全39区画)

3,090万円

沖縄県豊見城市字豊見城270

バス「琉球バス」バス停

価格
3,090万円
坪単価
75.66万円(40.84坪)
所在地
沖縄県豊見城市字豊見城270
交通

バス「琉球バス」バス停下車 徒歩5分

土地面積(坪数)
135.01㎡(40.84坪)
建ぺい率 / 容積率
50% / 100%

セールスポイント

豊見城市エリアでの住まいなら、住み心地も快適な「◆◆【売地】豊見城市渡橋名浜原-12号地(全39区画)」はいかがでしょうか。徒歩34分の場所に豊見城市立座安小学校があります。ご希望に合う不動産情報を経験と知識の豊富なアイエー不動産販売 那覇支店スタッフがご案内いたします。お気軽に098-882-1650、info-okinawa@aia-jyuhan.co.jpまでお問い合わせください。

ポイント

平坦地 前道6m以上

担当者のコメント

株式会社アイエー不動産販売 那覇支店

徒歩22分の距離に伊良波中学校があるのも魅力。第一種低層住居専用地域のメリットはなんといってもその開放的な住環境。周辺環境の良い売地ですので、土地購入をご検討の方におすすめです。前面道路6m以上は確保しているので車の出し入れもラクラクです。豊見城市の土地を探すなら、アイエー不動産販売 那覇支店にお任せください。098-882-1650、またはinfo-okinawa@aia-jyuhan.co.jpまで連絡お待ちしております。

基本情報

販売区画数
-
総区画数
-
土地面積(坪数)
135.01㎡(40.84坪)
坪単価
75.66万円
私道負担面積
割合
-
セットバック
建ぺい率 /
容積率
50% / 100%
高圧線下面積
-
傾斜地部分面積
-
路地状敷地
-
地目
雑種地
地勢
平坦
造成工事
完了予定
-
土地権利
所有権
建築条件
-
都市計画
市街化区域
用途地域
第一種低層住居専用/第二種低層住居専用
接道状況
一方
国土法届出要否
不要
最適用途
-
その他
法令上の制限
-
取引態様
仲介
現況
更地
引渡条件
-
引渡時期
相談
開発許可番号
-
取引条件の
有効期限
2026年03月30日

設備条件

設備条件
  • 公営水道 / 公共下水
設備(その他)
    -

その他

物件番号
100908214
管理コード
-
情報更新日
2026年03月16日
次回更新予定日
2026年03月30日
取扱会社
  • 株式会社アイエー不動産販売 那覇支店
  • 沖縄県那覇市古島1丁目23-3 アジアビルディング 3F
  • TEL:098-882-1650
  • 国土交通大臣 (3) 第8590号
備考
徒歩22分の距離に伊良波中学校があるのも魅力。土地面積は135.01㎡(公簿)となっています。開放的でゆったりとした街並みの第一種低層住居専用地域での生活はいかがですか。知識と経験豊富な当社スタッフが、お客様の住まい探しを全力でサポートいたします。不動産探しに関する疑問・質問など何でもお気軽にお問い合わせください。

周辺施設

  • サンエー V21ぎぼ食品館の画像

    スーパー

    サンエー V21ぎぼ食品館

    891m(12分)

  • 伊良波中学校の画像

    中学校

    伊良波中学校

    1695m(22分)

  • マックスバリュ とよみ店の画像

    スーパー

    マックスバリュ とよみ店

    2023m(26分)

  • 豊見城市立座安小学校の画像

    小学校

    豊見城市立座安小学校

    2694m(34分)

近隣の物件

  1. ◆◆【売地】豊見城市渡橋名浜原-9号地(全39区画)

    豊見城市字豊見城

    - (135.14㎡)

    3,090万円

  2. ◆◆【売地】豊見城市渡橋名浜原-11号地(全39区画)

    豊見城市字豊見城

    - (135.01㎡)

    3,090万円

  3. ◆◆【売地】豊見城市渡橋名浜原-10号地(全39区画)

    豊見城市字豊見城

    - (135.01㎡)

    3,090万円

  4. ◆◆【売地】豊見城市渡橋名浜原-13号地(全39区画)

    豊見城市字豊見城

    - (135.01㎡)

    3,090万円

よく見られている物件

  1. 【土地】八重瀬町安里(全3区画)

    島尻郡八重瀬町字安里

    - (147.43㎡)

    950万円

  2. 【売地】沖縄市久保田-限定1区画

    沖縄市久保田2丁目

    - (426.29㎡)

    2,480万円

  3. ●八重瀬町新城【土地】

    島尻郡八重瀬町字新城

    - (1074.14㎡)

    4,000万円

  4. 【土地】糸満市喜屋武-①区画(全2区画)

    糸満市字喜屋武

    - (237.93㎡)

    700万円

◆◆【売地】豊見城市渡橋名浜原-12号地(全39区画)

◆◆【売地】豊見城市渡橋名浜原-12号地(全39区画)

3,090万円

-(135.01㎡)

お気軽にお問い合わせください

無料お問い合わせ

株式会社アイエー不動産販売 那覇支店

098-882-1650

9:00~18:00

(休:水曜日)