NEW

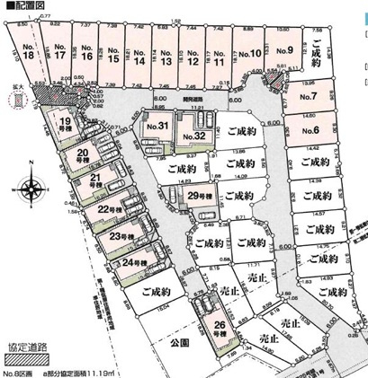
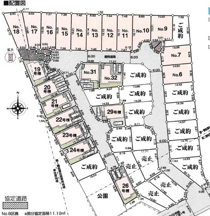
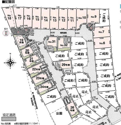
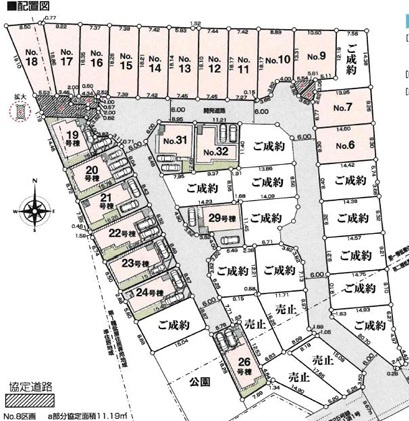
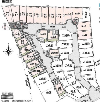
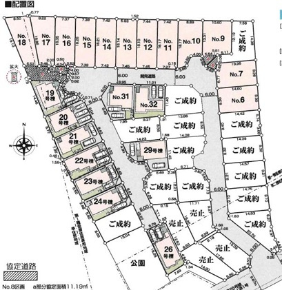
◆◆【売地】豊見城市渡橋名浜原-11号地(全39区画)

3,090万円

沖縄県豊見城市字豊見城270

バス「琉球バス」バス停

価格
3,090万円
坪単価
75.66万円(40.84坪)
所在地
沖縄県豊見城市字豊見城270
交通

バス「琉球バス」バス停下車 徒歩5分

土地面積(坪数)
135.01㎡(40.84坪)
建ぺい率 / 容積率
50% / 100%

セールスポイント

日照権が侵害されない第一種低層住居専用地域なので、将来の住まいも安心ですよ。売地をお探しの方におすすめの土地です。土地面積は135.01㎡(公簿)あります。平坦地なので、工事自体も進めやすく、工事時間も短くなりやすいですよ。豊見城市エリアの不動産情報は、当社にお任せください。Eメールでのお問い合わせ先はinfo-okinawa@aia-jyuhan.co.jpでございます。

ポイント

平坦地 前道6m以上

担当者のコメント

株式会社アイエー不動産販売 那覇支店

「◆◆【売地】豊見城市渡橋名浜原-11号地(全39区画)」のここがイチオシ。徒歩22分の距離に伊良波中学校があるのも魅力。住みやすい空間の条件の1つに前面道路が6m以上あるところを入れてみては。土地面積は135.01㎡(公簿)となっています。豊見城市で土地を買うなら、土地情報が満載のアイエー不動産販売 那覇支店にお任せ下さい。098-882-1650、またはinfo-okinawa@aia-jyuhan.co.jpまでお問い合わせをお待ちしております。

基本情報

販売区画数
-
総区画数
-
土地面積(坪数)
135.01㎡(40.84坪)
坪単価
75.66万円
私道負担面積
割合
-
セットバック
建ぺい率 /
容積率
50% / 100%
高圧線下面積
-
傾斜地部分面積
-
路地状敷地
-
地目
雑種地
地勢
平坦
造成工事
完了予定
-
土地権利
所有権
建築条件
-
都市計画
市街化区域
用途地域
第一種低層住居専用/第二種低層住居専用
接道状況
一方
国土法届出要否
不要
最適用途
-
その他
法令上の制限
-
取引態様
仲介
現況
更地
引渡条件
-
引渡時期
相談
開発許可番号
-
取引条件の
有効期限
2026年03月30日

設備条件

設備条件
  • 公営水道 / 公共下水
設備(その他)
    -

その他

物件番号
100908341
管理コード
-
情報更新日
2026年03月16日
次回更新予定日
2026年03月30日
取扱会社
  • 株式会社アイエー不動産販売 那覇支店
  • 沖縄県那覇市古島1丁目23-3 アジアビルディング 3F
  • TEL:098-882-1650
  • 国土交通大臣 (3) 第8590号
備考
「◆◆【売地】豊見城市渡橋名浜原-11号地(全39区画)」:豊見城市エリアの新居にピッタリ。徒歩34分の場所に豊見城市立座安小学校があります。不動産探しのことなら、どのようなことでもアイエー不動産販売 那覇支店へお気軽にお問い合わせください。知識豊富なスタッフがご対応いたします。お電話098-882-1650にてお待ちしております。

周辺施設

  • サンエー V21ぎぼ食品館の画像

    スーパー

    サンエー V21ぎぼ食品館

    891m(12分)

  • 伊良波中学校の画像

    中学校

    伊良波中学校

    1695m(22分)

  • マックスバリュ とよみ店の画像

    スーパー

    マックスバリュ とよみ店

    2023m(26分)

  • 豊見城市立座安小学校の画像

    小学校

    豊見城市立座安小学校

    2694m(34分)

近隣の物件

  1. ◆◆【売地】豊見城市渡橋名浜原-9号地(全39区画)

    豊見城市字豊見城

    - (135.14㎡)

    3,090万円

  2. ◆◆【売地】豊見城市渡橋名浜原-12号地(全39区画)

    豊見城市字豊見城

    - (135.01㎡)

    3,090万円

  3. ◆◆【売地】豊見城市渡橋名浜原-10号地(全39区画)

    豊見城市字豊見城

    - (135.01㎡)

    3,090万円

  4. ◆◆【売地】豊見城市渡橋名浜原-13号地(全39区画)

    豊見城市字豊見城

    - (135.01㎡)

    3,090万円

よく見られている物件

  1. 【土地】八重瀬町安里(全3区画)

    島尻郡八重瀬町字安里

    - (147.43㎡)

    950万円

  2. 【売地】沖縄市久保田-限定1区画

    沖縄市久保田2丁目

    - (426.29㎡)

    2,480万円

  3. ●八重瀬町新城【土地】

    島尻郡八重瀬町字新城

    - (1074.14㎡)

    4,000万円

  4. 【土地】糸満市喜屋武-①区画(全2区画)

    糸満市字喜屋武

    - (237.93㎡)

    700万円

◆◆【売地】豊見城市渡橋名浜原-11号地(全39区画)

◆◆【売地】豊見城市渡橋名浜原-11号地(全39区画)

3,090万円

-(135.01㎡)

お気軽にお問い合わせください

無料お問い合わせ

株式会社アイエー不動産販売 那覇支店

098-882-1650

9:00~18:00

(休:水曜日)