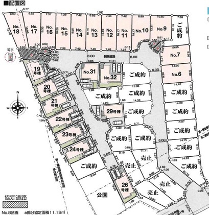
◆◆【売地】豊見城市渡橋名浜原-18号地(全39区画)

2,790万円

沖縄県豊見城市字豊見城270

バス「琉球バス」バス停

価格
2,790万円
土地面積(坪数)
135.80㎡(41.07坪)
所在地
沖縄県豊見城市字豊見城270
築年
-(-)
駐車
-
交通

バス「琉球バス」バス停下車 徒歩5分

◆◆【売地】豊見城市渡橋名浜原-18号地(全39区画)の基本情報

物件名
◆◆【売地】豊見城市渡橋名浜原-18号地(全39区画)
価格
2,790万円
土地面積
135.80㎡
築年月
-(-)
総区画数
-
所在地
沖縄県豊見城市字豊見城270
交通

バス「琉球バス」バス停下車 徒歩5分

◆◆【売地】豊見城市渡橋名浜原-18号地(全39区画)の詳細情報

設備条件
設備(その他)
    -
駐車場/月額
-/-
土地権利
所有権
国土法届出
不要
用途地域
第一種低層住居専用/第二種低層住居専用
区画数
- / -
管理形態
-
管理員の勤務形態
-
管理会社
-
取引態様
仲介
引渡し
相談
開発許可番号
-
備考
徒歩34分の場所に豊見城市立座安小学校があります。こちらの土地は前面道路6m以上です。こちらの売地は、土地の購入を検討されている方にイチオシとなっております。工事自体も進めやすく、工事時間も短くなりやすい平坦地です。お客様のご希望条件に一致する不動産探しをアイエー不動産販売 那覇支店が全力でサポートいたします。電話098-882-1650またはEメールinfo-okinawa@aia-jyuhan.co.jpまでお問い合わせください。

◆◆【売地】豊見城市渡橋名浜原-18号地(全39区画)のコメント(おすすめポイント)

こだわりポイント満載の◆◆【売地】豊見城市渡橋名浜原-全39区画。徒歩34分の場所に豊見城市立座安小学校があります。広さの心配がいらない土地面積135.8㎡(公簿)。こちらの土地は前面道路6m以上です。経験と知識豊富な不動産のプロがあなたの不動産探しをサポートいたします。不動産に関してどのようなことでも疑問や不安があれば、ぜひお気軽にお問い合わせください。

◆◆【売地】豊見城市渡橋名浜原-18号地(全39区画)で募集中の物件

  1. 41.07坪 (135.80㎡)

    2,790万円(67.93万円/坪)

周辺施設

  • サンエー V21ぎぼ食品館の画像

    スーパー

    サンエー V21ぎぼ食品館

    891m(12分)

  • 伊良波中学校の画像

    中学校

    伊良波中学校

    1695m(22分)

  • マックスバリュ とよみ店の画像

    スーパー

    マックスバリュ とよみ店

    2023m(26分)

  • 豊見城市立座安小学校の画像

    小学校

    豊見城市立座安小学校

    2694m(34分)

近隣の物件

  1. 豊見城市字豊見城

    - (135.14㎡)

    3,090万円

  2. 豊見城市字豊見城

    - (135.01㎡)

    3,090万円

  3. 豊見城市字豊見城

    - (135.01㎡)

    3,090万円

  4. 豊見城市字豊見城

    - (135.01㎡)

    3,090万円

◆◆【売地】豊見城市渡橋名浜原-18号地(全39区画)

お気軽にお問い合わせください

無料お問い合わせ

株式会社アイエー不動産販売 那覇支店

098-882-1650

9:00~18:00

(休:水曜日)